Официальное опубликование правовых актов
ОФИЦИАЛЬНОЕ ОПУБЛИКОВАНИЕ
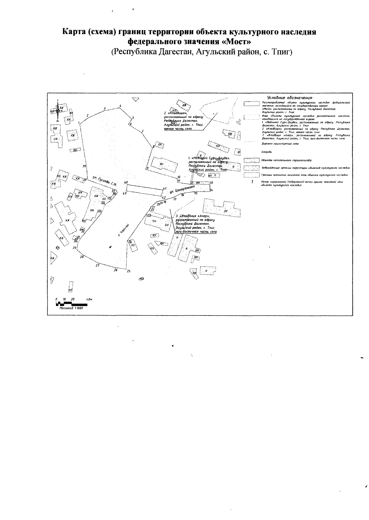
Приказ Агентства по охране культурного наследия Республики Дагестан от 02.02.2026 № 5/26-од
"Об утверждении границ защитной зоны объекта культурного наследия федерального значения "Мост", (Республика Дагестан, Агульский район, с. Тпиг)"
(Зарегистрирован 24.02.2026 № 8952)
Номер опубликования: 0501202602260001
Дата опубликования: 26.02.2026
Страница №7 из 8:
Увеличить