Официальное опубликование правовых актов
ОФИЦИАЛЬНОЕ ОПУБЛИКОВАНИЕ
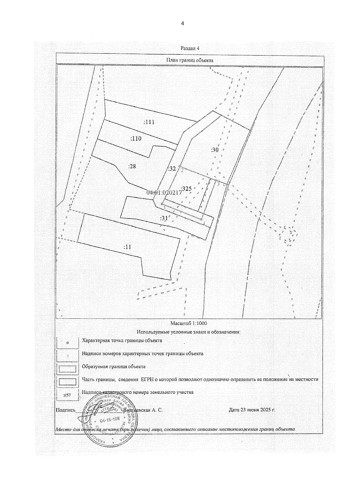
Приказ Министерства природных ресурсов и экологии Республики Алтай от 01.09.2025 № П-03-01/50
"Об установлении зон санитарной охраны водозаборного сооружения, расположенного в с. Известковый по ул. Новая, 5а в Майминском районе Республики Алтай (скважина № Г27/04)"
(Зарегистрирован 01.09.2025 № 544)
Номер опубликования: 0401202509010001
Дата опубликования: 01.09.2025
Страница №4 из 13:
Увеличить